Machbarkeitsstudie Veloführung Grenzacherstrasse / Schwarzwaldstrasse

Machbarkeitsstudie Veloführung Grenzacherstrasse / Schwarzwaldstrasse

Auftraggeber: Kanton Basel-Stadt
Standort: Basel
Bearbeitungszeitraum: 2023
Funktion: Projektleitung

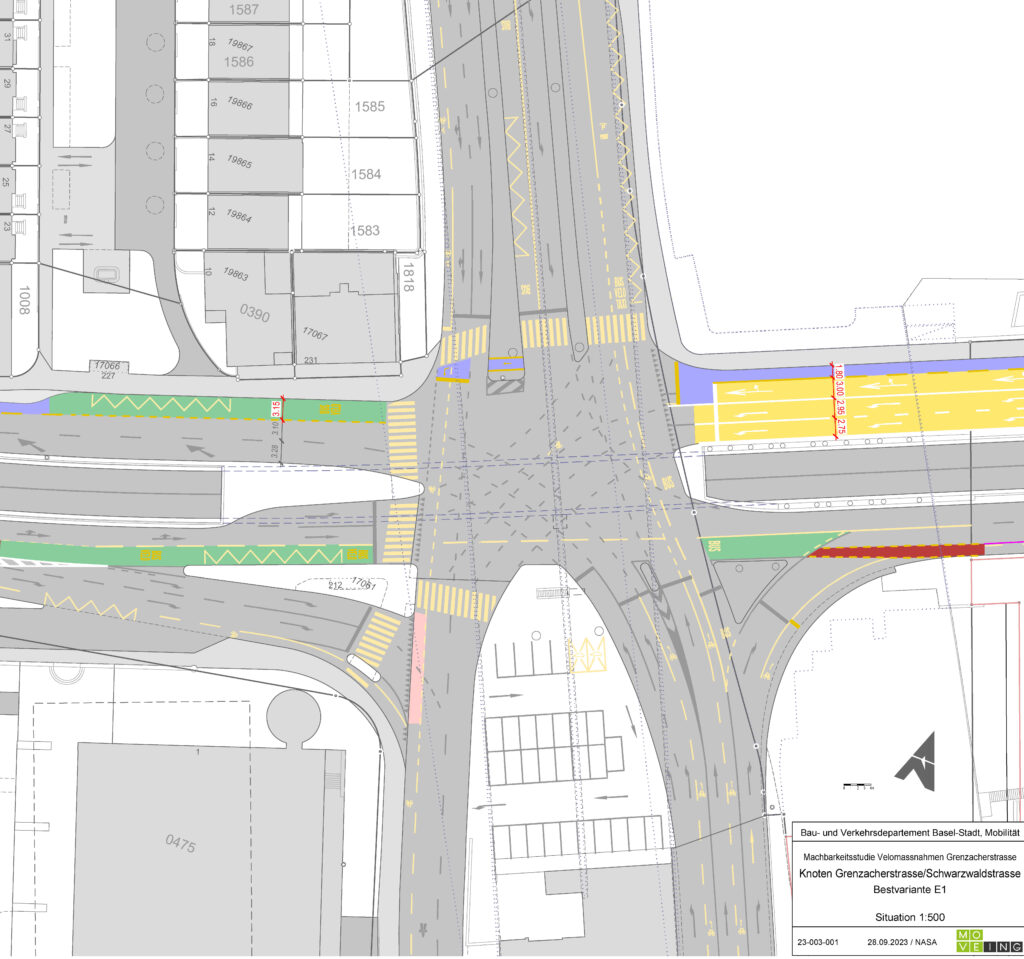
Im Auftrag des Kantons Basel-Stadt wurde geprüft, mit welchen Massnahmen die Veloführung im Zuge der Pendlerroute Grenzacherstrasse am Knoten Schwarzwaldstrasse optimiert werden kann. Insbesondere war zu untersuchen, ob eine Öffnung der bestehenden Autounterführung für den Veloverkehr machbar ist. Durchgeführte Leistungen:

  • Situationsanalyse
  • Entwicklung von Varianten für Massnahmen unter Mitnutzung der Unterführung
  • Erarbeitung eines Ziel- und Indikatorensystems
  • Bewertung der Varianten anhand einer Vergleichswertanalyse